Your daily dose of natural disasters and amazing phenomena for October 27, 2025…
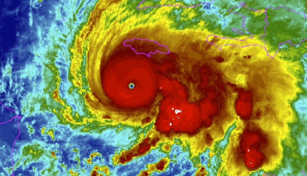
🌀 Melissa Becomes a Category 5 Hurricane Near Jamaica
Forty. Inches. Of. Rain.
That’s more than the shallow end of your pool. Jesus.
This thing’s crawling toward Jamaica like a snail dragging a tsunami.
🦴 7 Proofs That Ancient Giants Roamed Earth
From South America to Northern Europe — colossal skeletons, stonework too massive for modern cranes, and mythic parallels everywhere.
Maybe Graham Hancock’s right. Maybe we’re just a species with amnesia…
💚 Giant Green Fireball Over Moscow
A massive green fireball streaked across the Moscow sky this morning.
Scientists say “space debris.”
…
Read Full Article Here…(strangesounds.substack.com)
Home | Caravan to Midnight (zutalk.com)
Live Stream + Chat (zutalk.com)




