By Ariel Fernández, ANDREA RODRÍGUEZ, JOHN MYERS JR. and EVENS SANON Hurricane Melissa left at least dozens dead and caused widespread destruction across Cuba, Haiti and Jamaica, where roofless homes, toppled…
Posts tagged as “Hurricane Melissa”
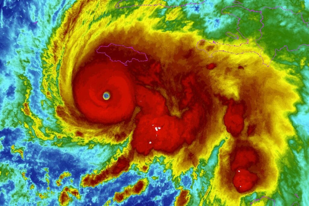
Your daily dose of natural disasters and amazing phenomena for October 27, 2025… By Strange Sounds 🌀 Melissa Becomes a Category 5 Hurricane Near Jamaica Forty.…
By JOHN MYERS JR. and DÁNICA COTO HOW TO PREPARE Hurricane season can be stressful for anyone near the potential path of a storm. Powerful winds and…



